羅斯福路與基隆路口正交路型將於9月29日上午6時啟用 請用路人注意行車動線調整
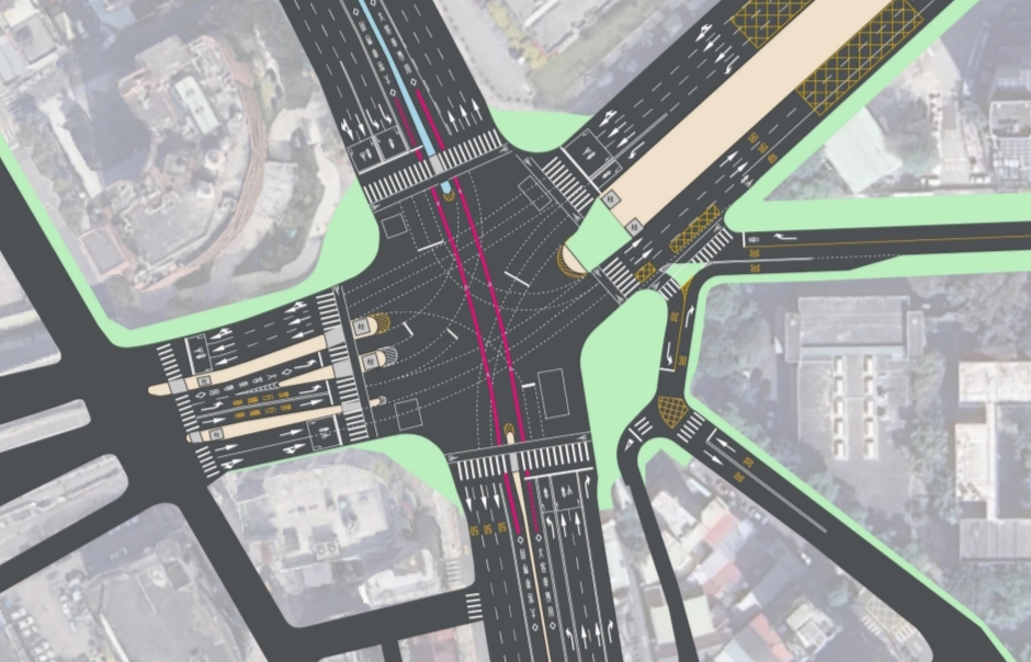
羅斯福路與基隆路口將於114年9月29日上午6時起以正交路口全新面貌登場,請用路人注意行車動線調整,依現場標誌標線及號誌指引行駛。羅斯福路大客車專用道(公車專用道)平面化後,部分原有轉向需求而行駛路側車道之公車路線將可調整進入專用道,以提升公車行駛效率,減少路側停靠交織干擾。
自9月29日上午6時起,羅斯福路與基隆路口將正式成為正交路口,請用路人依照一般正交路口動線行駛。於機車動線部分,本路口除基隆路福和橋下橋機車左轉羅斯福路時仍需兩段式左轉外,其餘各方向皆開放機車直接左轉,並設有機車待轉格,供有需要之民眾選擇兩段式左轉。福和橋汽車進城下橋處因受道路幾何及墩柱影響,建議駕駛人提前於橋上分流,往信義區及文山區方向靠外側行駛,欲左轉往大安區(公館)及中正區者靠內側行駛。
另東南角巷道亦同步進行交通動線調整,羅斯福路4段123巷21弄同日起試辦東往西單行道,請欲前往信義區用路人可由羅斯福路主線至基隆路口右轉前往。
公車路線調整部分,由基隆路及福和橋轉向進入羅斯福路之公車路線原停靠路側站位,將調整至羅斯福路大客車專用道行駛並停靠,詳述如下:
一、「捷運公館站」路側站位改停靠「捷運公館站」大客車專用道站位路線
(一)、福和橋往公館:207、208(含區)、672(含區)、688
(二)、基隆路往公館:1、673、907(含通勤)、綠11、棕12、棕22
二、「水源市場」站位改停靠「捷運公館站」大客車專用道站位路線–福和橋往公館:208(含區)。
三、「師大分部」路側站位改停靠「師大分部」大客車專用道站位路線–基隆路往師大分部:基隆路幹線、通勤13。





